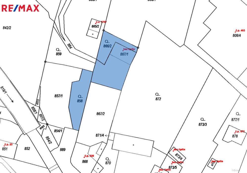
Stavební pozemek na okraji Ústí nad Labem - Předlice o rozloze 879 m2
Nabízíme k prodeji pozemek o velikosti 879 m2 se stodolou o rozměrech cca 14 x 18 m, vhodný ke stavbě domu. Pozemek se nachází na kraji obce, za „zády“ má vzrostlou zeleň, před pozemkem je postavený nový obytný dům. Vede k němu slepá ulice využívaná pouze místními obyvateli.
Pozemek leží nedaleko blízké rekreační oblasti Milada s plážemi, v okolí se nachází nákupní centrum, rychlodráha, cyklotrasa, zdravotní středisko. Oblast je dobře dostupná městskou hromadnou dopravou (zastávka busu 450, 454, 458) a železnicí, nedaleko je Střížovický vrch.
V případě více zájemců bude rozhodovat vyšší nabídka.
Podrobné informace
| Číslo zakázky: | NP06889 |
| Město: | Ústí nad Labem |
| Ulice: | |
| Celková plocha: | 879 m2 |
| Typ nemovitosti: | Pozemky |
| Druh pozemku: | Bydlení |
| Garáž: | Ne |
| Telekomunikace: | |
| Topení: | |
| Odpad: | |
| Plyn: | |
| Elektřina: | |
| Ostatní rozvody: | |
| Doprava: | |
| Umístění objektu: | |
| K nastěhování: | 1. 2. 2026 |
Kontaktujte makléře nemovitosti


















