Dům 4+KK Otovice u Karlových Varů - pronájem levá strana 01
Nabízíme k pronájmu moderní levou polovinu dvojdomku o dispozici 4+kk v klidné a vyhledávané lokalitě Otovice u Karlových Varů. Obě jednotky mají společnou boční stěnu a jsou zrcadlově proti sobě, každá s vlastním vstupem, zahradou a technickým zázemím. K nastěhování od 1.10.2025. Kolaudace proběhne v září 2025.
Dům je navržen jako nízkoenergetická novostavba s podlahovým vytápěním v celém interiéru a tepelným čerpadlem. V obývacím pokoji navíc najdete krbová kamna, která vytvoří příjemnou atmosféru během chladnějších dnů.
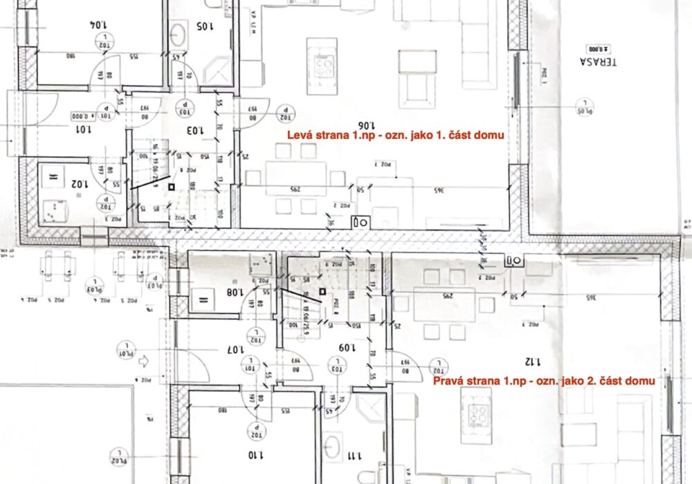
Dispozice – přízemí (62 m2):
– Prostorný obývací pokoj se vstupem na terasu a zahradu přes velké francouzské posuvné dveře
– kuchyňský kout (bude vybaven novou kuchyňskou linkou) a jídelnou propojen s obývací místností
– koupelna se sprchovým koutem a toaletou
– technická místnost, schodišťová hala, zádveří
– další menší místnost pro individuální využití (např. pracovna, komora)
Dispozice – patro (73 m2):
– velká ložnice + šatna přiléhající k velké ložnici
– dva další pokoje
– velká koupelna s vanou i sprchovým koutem a toaletou
– schodišťová hala
Lokalita:
Otovice jsou klidná a žádaná část Karlových Varů, kde žijí převážně rodiny s dětmi. Najdete zde mateřskou i základní školu, víceúčelový sportovní areál a dětská hřiště. Výborná dostupnost do centra města i do přírody je velkou výhodou.
Milovníky zimních sportů potěší, že do Krušných hor a lyžařských areálů se autem dostanete přibližně za 30 minut.
Sledujte sociální sítě, kde průběžně doplňujeme fotografie a videa ze stavby domu.
Podmínky nájmu:
Hledáme spolehlivého nájemníka, který ocení pohodlí novostavby a bude o ni pečovat s respektem a zodpovědností. Výběr nájemníka proběhne na základě osobního jednání, v souladu s požadavky a představou vlastníka. Nájemní smlouva bude uzavřena na dobu určitou jednoho roku s možností prodloužení při oboustranné spokojenosti.
U podpisu nájemní smlouvy hradíte:
Jistota (vratná kauce) 90.000 Kč (3-měsíční)
Nájem na první měsíc 30.000 Kč
Záloha na služby k bytu / vodné-stočné předpokládáme 500 Kč na 1 osobu
Zprostředkovatelský poplatek 36.300 Kč (vč. dph)
Služby, které si nájemce přepíše na sebe:
Svoz komunálního odpadu-platba podle velikosti nádoby a frekvence u Obecního úřadu Otovice
Elektřina-záloha orientačně 4.000 Kč měsíčně
Podrobné informace
| Číslo zakázky: | NP00366 |
| Město: | Otovice |
| Ulice: | |
| Celková plocha: | 773 m2 |
| Užitná plocha: | 135 m2 |
| Plocha parcely: | 773 m2 |
| Počet podlaží v objektu: | 2 |
| Druh objektu: | Cihlová |
| Stav objektu: | Novostavba |
| Typ nemovitosti: | Domy |
| Doprava: | vlak, silnice, MHD |
| Umístění objektu: | Klidná část obce |
| Energetická náročnost budovy: | G |
| Balkon: | Ne |
| Lodžie: | Ne |
| Garáž: | Ne |
| Vybaveno: | Ano |
| K nastěhování: | 1. 10. 2025 |

































